JULY 20, 2022 - VISIT #2

Progress footage, and additional photos/videos of concrete pour

100FT

250FT

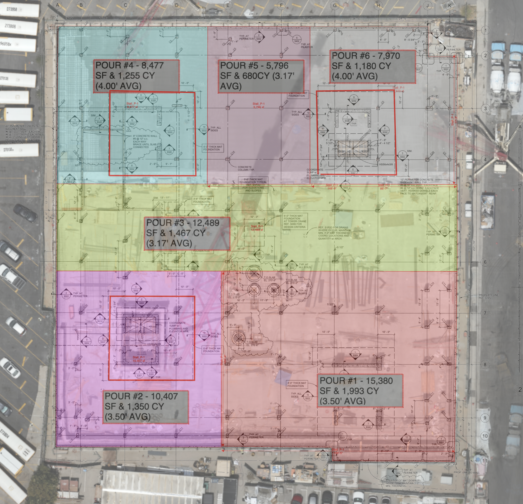
ADDITIONAL PHOTOS AND VIDEO OF CONCRETE POUR

360 PANOS

VIDEOS

I captured additional orbit that shows the horizon, I think it may be a better option going forward.

MAPPING

Ground control locations

The marked circles contain permanent ground control points that will stay in place for the duration of the project, and to which I’ll be able to tie the imagery to produce maps/models in the correct coordinate system

  1. Entire site from 205ft above ground level

  2. West part from 70ft above ground level (about 100ft above the bottom)

Previous
Previous

June 25, 2022 - #1

Next
Next

August 24, 2022 - #3